Are you interested in inspecting this property?
Get in touch to request an inspection.
- Photos
- Video
- Description
- Ask a question
- Location
- Next Steps
Section for Sale in Albany
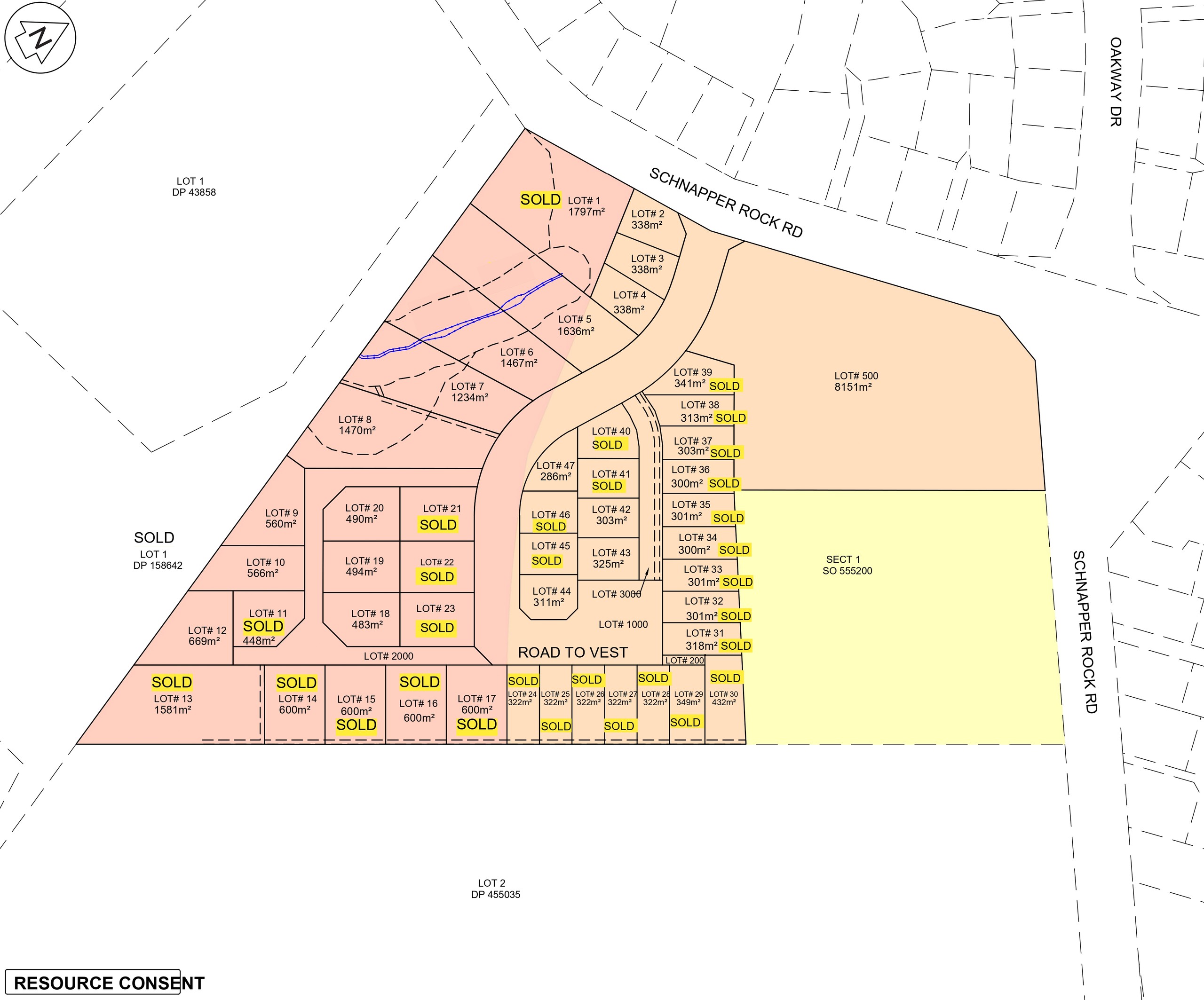
Schnapper Rock Premium Land Release
Resource Consent Issued!
This is your opportunity to purchase freehold sections in a peaceful, sought-after Schnapper Rock neighbourhood. With land sizes ranging from approximately 286m2 to 1,470m2 (more or less), you can design & build the dream home that truly suits your family & lifestyle needs.
Resource Consent has already been issued, providing confidence to move ahead with your vision. Whether you are creating a spacious family haven or a contemporary low-maintenance home, these sections offer exceptional versatility in a premium North Shore address.
Located in a modern residential enclave surrounded by quality homes, this land presents long-term value, lifestyle appeal & a rare opening in a tightly held area.
Build what you imagine, secure your future & take advantage of this premium position.
Features:
- Freehold sites from approx. 286m2 to 1,470m2 (more or less)
- Resource Consent issued
- Premium residential setting with quality neighbouring homes
- Ideal for families, builders, developers & land-banking
- Flexible design potential subject to council requirements
Location:
Perfectly positioned with excellent convenience while still enjoying a peaceful suburban setting. Close to Albany Westfield, Albany Mega Centre, Costco, Westgate, North Harbour Stadium & North Shore Golf Club. Quick motorway access & public transport options nearby for smooth travel across Auckland.
Education:
In zone for highly regarded education including Kristin School, Pinehurst School, Albany Junior High, Albany Senior High & Massey University, offering outstanding learning pathways from primary to tertiary level.
Contact Lily today to secure your preferred site & start planning your future in this exceptional Schnapper Rock community.
ABY31896
Agents
- Loading...
Loan Market
Loan Market mortgage brokers aren’t owned by a bank, they work for you. With access to over 20 lenders they’ll work with you to find a competitive loan to suit your needs.
